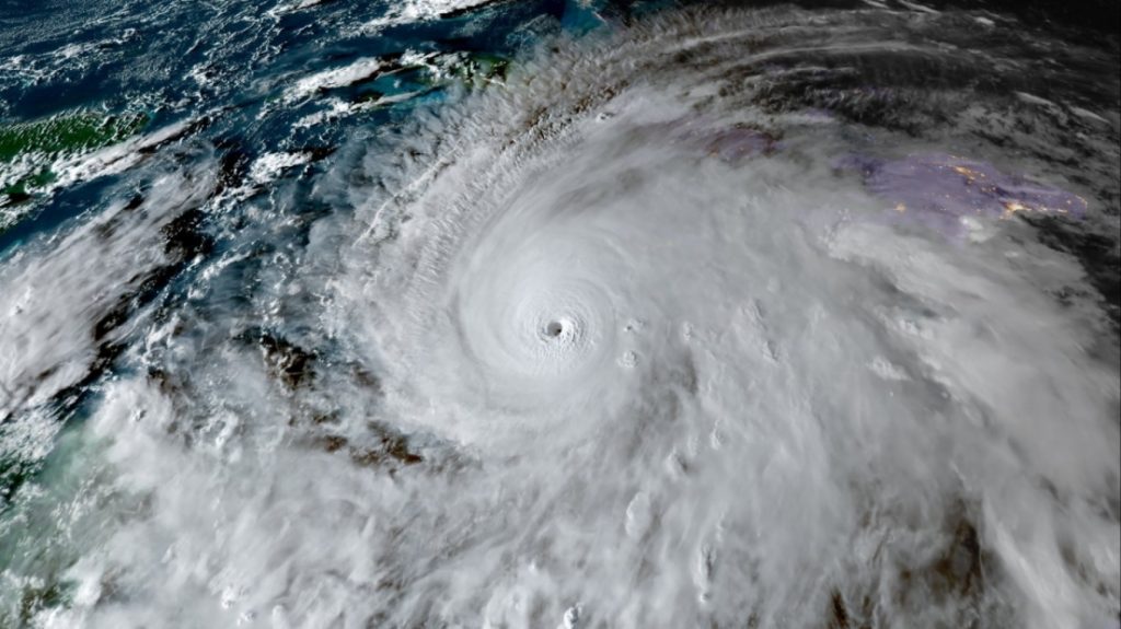
Αντιμέτωπο με την μανία «ίσως του ισχυρότερου τυφώνα στον πλανήτη» αεροσκάφος της 53ης Μοίρας Αναγνώρισης Καιρού της Πολεμικής Αεροπορίας των ΗΠΑ επιτυγχάνει το «συνταρακτικό και αδιανόητο». Διαπερνά τα «τοιχώματα» του τυφώνα Melissa και αποκαλύπτει τον πυρήνα του. Ριπές ανέμου 260 χιλιομέτρων την ώρα προκαλούν αναταράξεις στο αεροσκάφος που δίκαια ονομάζεται «Κυνηγός Τυφώνα» (Hurricane Hunter)της NOAA.
A US Air Force plane from the 53rd Weather Reconnaissance Squadron, known as the Air Force Reserve Hurricane Hunters, flies into the eye of Hurricane Melissa, as the category 5 Hurricane approaches Jamaica.
Jamaican officials have called on the public to get to higher ground and… pic.twitter.com/AXmIESSCJG
— AFP News Agency (@AFP) October 28, 2025
«Μπαίνουμε από τα νοτιοανατολικά αμέσως μετά την ανατολή του ηλίου κοιτώντας το φως στα βορειοδυτικά», αναφέρεται στο βίντεο. Οι αναταράξεις είναι όμως τόσο έντονες, που το αεροσκάφος «υποχωρεί»,, αφού έχει εξασφαλίσει δεδομένα που «δεν έχουν καταγραφεί ποτέ άλλοτε».
A thread of videos from today’s flight into Hurricane Melissa
In this first one we are entering from the southeast just after sunrise and the bright arc on the far northwest eye wall is the light just beginning to make it over the top from behind us. pic.twitter.com/qGdpp7lbCN
— Tropical Cowboy of Danger (@FlynonymousWX) October 27, 2025
Τα δεδομένα που συλλάχθηκαν δεν αποτελούν καλό οιωνό για την Τζαμάικα, που θρηνεί ήδη τρεις νεκρούς από τον τυφώνα Melissa. Στη γλώσσα των μετεωρολόγον το αμερικανικό αεροσκάφος πραγματοποίησε αυτοψία στο «φαινόμενο του σταδίου», καθώς σχηματιζόταν η «τερατώδης χοάνη» γύρω από το επίκεντρο του τυφώνα.
Αστραπές αντανακλούν από το «μάτι» του τυφώνα Μελίσα, καθώς γιγαντώνεται πλησιάζοντας την Τζαμάικα.
⚡🌀 Check out fantastic imagery of lightning flashes within Hurricane Melissa’s eye wall, as the powerful Category 5 storm continues to churn closer to Jamaica.#jamaica #hurricane #hurricaneseason #extremeweather #lightning #FoxWeather pic.twitter.com/NK2Iz8bL7U
— FOX Weather (@foxweather) October 28, 2025






